游戏百科

台风“凤凰”靠近东南沿海风雨渐起 冷空气南下江南多地体感湿凉

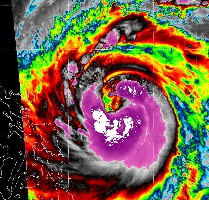
今明天(11月9日至10日),我国雨雪天气减弱减少,但随着台风“凤凰”不断靠近,受其外围云系影响,东南沿海风雨渐起,当地需做好防台风措施。今天,受冷空气影响,江南、华南多地将迎降温,不少地方阴雨相伴,体感湿凉,公众需添衣保暖防感冒。

我国大部雨雪缩减台风“凤凰”靠近东南沿海风雨渐起

过去几天,一股较强冷空气自西向东影响我国,这股冷空气裹挟黑海、里海的水汽,给西北地区带来降温的同时,雨雪天气也迅速发展,5日至6日新疆经历今冬以来最强降雪过程,乌鲁木齐打破当地11月单日最强降水纪录,并且雪后寒意持续,积雪融化较慢。

昨天,降雪核心影响区集中在内蒙古东部及东北等地,同时受冷暖空气交汇影响,长江流域降雨发展增多。监测显示,昨日8时至今日6时,青海东南部、甘肃南部、河北北部、内蒙古东北部、吉林北部和东部、黑龙江等地出现小到中雪或雨夹雪,局地大雪;贵州北部、湖南中北部、江西中北部等地部分地区出现大雨,局地暴雨。

今明天,内蒙古东部、东北等地的降雪将趋于减弱停歇,南方降雨也有所收敛。中央气象台预计,今天,内蒙古东北部、黑龙江北部和东部、西藏东北部、西北地区中部、川西高原北部等地的部分地区有小到中雪或雨夹雪,其中,青海东部等地部分地区有大雪。西北地区东部、江汉南部、江南大部、西南地区南部和东部、海南岛、台湾岛等地部分地区有小到中雨,其中,云南东南部等地的部分地区有大雨。

明天,新疆北疆地区和伊犁河谷、西藏东部、西北地区中部、川西高原北部等地部分地区有小到中雪或雨夹雪。西南地区东部和南部、湖南中部和西部、华南沿海地区、海南岛中部和南部、台湾岛等地的部分地区有小到中雨,其中,台湾岛部分地区有大到暴雨,局地大暴雨或特大暴雨。

今明天,我国雨雪天气将进一步减少,但随着台风“凤凰”靠近,东南沿海风雨增强,福建、台湾等地需警惕强风雨带来的不利影响,过往船只及时回港避风,做好防台风措施。由于“凤凰”后期的路径还有不确定性,带来的降雨落区和强度也可能会调整,需保持关注。

江南华南多地迎降温部分地区阴雨相伴体感湿凉

今天较强冷空气进一步东移南下,降温核心区域集中在长江以南地区,华南多地也将开启降温模式。其中江南西部到四川盆地、贵州一带最高气温将在15℃上下,再加上阴雨影响,湿冷感持续在线。大城市中,成都明天最高气温将降至16℃,阴雨相伴,体感湿凉。

而在长江以北地区多地将开启升温,11日前后将有一股冷空气上线,但由于强度较弱,总体不会改变回暖趋势。12日,最高气温10℃线将北抬至黑龙江南部,辽宁多地最高气温将超过15℃。沈阳未来一周最高气温将保持在10℃以上,12日可升至17℃,较常年同期偏高12℃左右,但昼夜温差较大,最低气温普遍在冰点之下,保暖工作仍不能放松。